军魂
关注
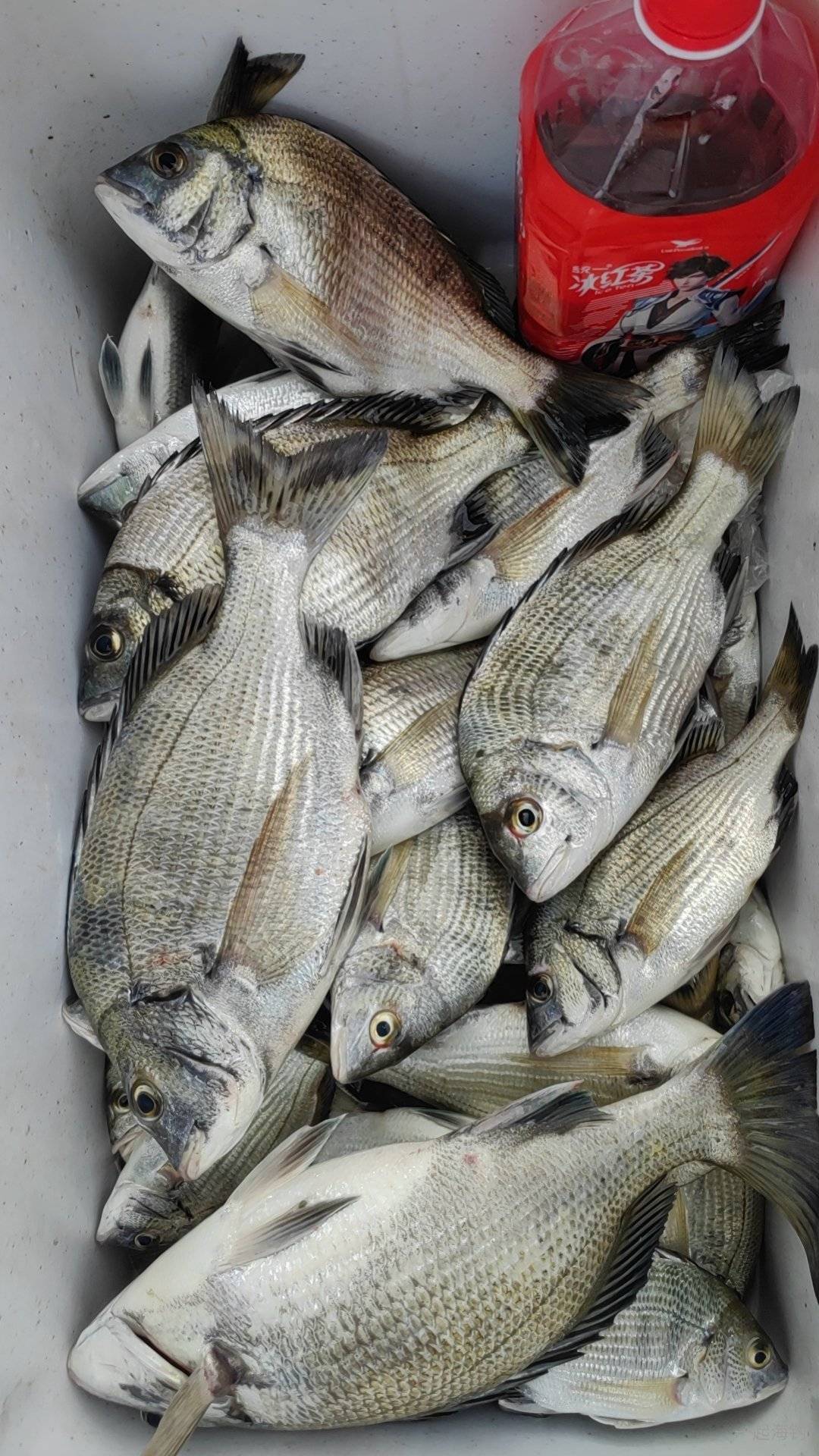
桥墩筏钓
鱼真多
发布于 09-24 23:55
共0条评论
暂时还没有评论
说点什么…
25
4
0
暂时还没有评论